Qual a importância do solo?
Quando falamos de plantações e colheitas de cana-de-açúcar, alcançar o desempenho máximo da produção sem causar danos ao meio ambiente é o grande desafio do agricultor nos dias de hoje, afinal, quando a safra chegar ao fim, cada esforço terá valido a pena, porém existe um grande vilão da agricultura pode causar muita dor de cabeça: as plantas daninhas. Elas podem causar grande impacto na produção de cana-de-açúcar, como aumento do custo de produção, maior dificuldade na colheita e hospedagem de pragas, por isso a identificação das plantas daninhas é tão importante para uma produção saudável e produtiva.
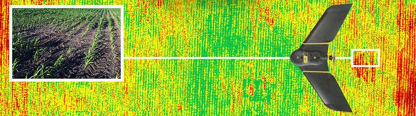
Geralmente o levantamento da presença destas plantas daninhas na lavoura é feito através de visitas técnicas diretamente na área de cultivo. Mas essa não é a única maneira de identificá-las e é disso que vamos falar hoje: do combate as plantas daninhas utilizando o processamento de imagens (drones).
Como identificar as plantas daninhas no plantio?
Precisamos ficar muito atentos às plantas daninhas, pois como dissemos, elas podem prejudicar muito a lavoura, mas como combatê-las? Pode ser através de cultivo mecânico ou através de defensivos químicos, os chamados herbicidas. Porém com o passar dos anos, algumas plantas foram desenvolvendo tolerância a certas moléculas químicas e acabam por resistir até mesmo a estes produtos.
Hoje podemos identificar as plantas daninhas através do processamento de imagens com drones e até saber o nível de infestação, uma tecnologia que até pouco tempo atrás não era possível de ser feita com a facilidade que os drones oferecem.
Como é feito o processamento de imagens?
.jpg)
Os drones são os grandes aliados nesse momento e junto das câmeras, captam imagens de diversas maneiras, auxiliando na avaliação da qualidade da plantação e agilizando cada vez mais os processos e resultados. Alguns modelos que são utilizados no processamento de imagens são:
O que é o processamento de imagens? 
Depois de captar as imagens com o drone é hora de ser feito o processamento de imagem, é aí que entra os softwares de análise, sendo fundamentais para executar todo o processamento de forma precisa e eficaz. Então, o que podemos concluir é que você precisará unir uma boa captação de imagem através do drone, câmera e um bom software, com esses três aliados você já poderá começar a fazer as imagens da sua lavoura e identificar as plantas daninhas que estão atrapalhando a sua produção e pulverizar com exatidão. Garantia de qualidade, produção e até mesmo economia.
 
Outros benefícios do processamento de imagem via drone:

Identificar as plantas daninhas é um excelente benefício para sua lavoura que a tecnologia nos trouxe, mas este não é o único benefício que a captação de imagens da sua produção pode trazer. É possível analisar a qualidade do seu plantio, fazer o levantamento de falhas da área todo e não somente por amostragens, realizar o planejamento de todas as operações mecanizadas em cada talhão, projetar linhas de plantio, identificar uma série de anomalias que podem surgir na sua lavoura, possibilitando o monitoramento contínuo e, consequentemente, facilitando na tomada de decisões para correção de problemas. Uma combinação de resultados que certamente vai te gerar mais lucros e melhorar ainda mais a qualidade da sua colheita.
A solução está na Geo Agri!
Já está mais que provado: a tecnologia veio para ser um grande aliado do agricultor. Transformando a sua vida com mais facilidade e fazendo com que o seu tempo, que nós sabemos ser muito valioso, seja melhor aproveitado cada vez mais. Com os drones não seria diferente, afinal, nada melhor que saber como vai a sua cultura do que vendo de cima e com tantos dados de relevância e precisão. Por isso você encontra aqui com a gente a melhor solução tecnológica para cuidar da sua lavoura.
Continue lendo nosso blog e veja outras matérias relevantes para o seu negócio aqui.